热门
情怀车萨博93二手车选购指南
1 19 发布于 2022-02-13 11:38:43 只看楼主 热门标准
点击查看热门标准,热门算法维度通过账号健康度、浏览、评论、点赞、收藏、转发、反作弊等进行综合评判
修改帖子
萨博一个停留在车友记忆中汽车品牌,因为执念,被迫破产。
这是我第一次近距离接触萨博,这台车之前因为经济案件,被扣押了一段时间。车子停放在室内,保存状况很好,当我掀开车衣的时候,我我仿佛在告诉它,我来带你走。拿到车后第一时间去做了油水的更换保养,再洗个车来慢慢了解这车
或许真的只有你跟萨博接触过后你才会感受到萨博这个品牌对于汽车独到的设计,比如隐藏式的手刹,旋转的出风口,特别的杯架
如果你是个真正开过很多车,懂车的老司机,开上萨博后你才知道萨博真的是台好车,指向精准,底盘紧凑,2.0T动力不大但是很平顺,涡轮迟滞很小

第一次在车库见到的样子,全是灰


机舱非常干爽,前部非常完整,没有动过的痕迹

佩服北欧的钣金水平,十多年前的车接缝非常小

这个角度我认为是93最帅,前脸这个设计足以在茫茫车海中让人眼前一亮

洗干净后样子





最帅的前脸

是不是该花钱洗洗?




德国产的大灯

这是我见过用料最足的轿车龙门架,没有之一

前水箱位置



涡轮位置很干爽

底盘


前挡风的原厂标识很帅!

08年生产的原厂挡风玻璃




没有任何翻新



如果是水泡车看这里非常明显

原厂方向盘


这个磨损算是很小了吧


真实公里数










座椅滑轨





天窗轨道看是不是有大事故


说实话萨博93这个后排真不咋地
















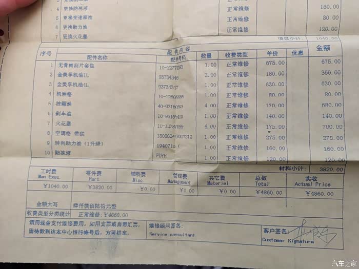
原车车主很细心,所有的保养单据都在




图片已删除

原车主一直在这个4S店保养


  • 摄影
很抱歉,该主帖尚未满足精华帖15张图片要求,不能予以精华,更多精华标准点击此处查看
修改主帖
内容系网友发布,涉及安全和抄袭问题属于网友个人行为,不代表汽车之家观点,可联系客服删除。
举报
IP
回复
共1页
1
20条/页 前往

更多> 精选帖子

更多> 精选视频

扫码下载
汽车之家APP

随时获取
最新汽车资讯